La Gazette du Canada, Partie I, volume 150, numéro 51 : Règlement sur la zone de protection marine du banc de Sainte-Anne
Le 17 décembre 2016
Fondement législatif
Loi sur les océans
Ministère responsable
Ministère des Pêches et des Océans
RÉSUMÉ DE L'ÉTUDE D'IMPACT DE LA RÉGLEMENTATION
(Ce résumé ne fait pas partie du Règlement.)
Résumé
Enjeux : L'activité humaine exerce une pression de plus en plus forte sur les océans et les écosystèmes aquatiques du Canada. La création de zones de protection marine (ZPM) par règlement en vertu de la Loi sur les océans est l'un des moyens qui permettent d'atténuer cette pression. Le gouvernement du Canada a reconnu la nécessité de préserver la santé des océans du pays en s'engageant, dans la lettre de mandat du premier ministre adressée en 2016 au ministre des Pêches, des Océans et de la Garde côtière canadienne et à la ministre de l'Environnement et du Changement climatique, à protéger 5 % des zones marines et côtières d'ici 2017 et 10 % d'ici 2020. Le Règlement sur la zone de protection marine du banc de Sainte-Anne proposé (le règlement proposé) permettrait de protéger 0,08 % de plus des océans canadiens (4 364 km2) des répercussions des activités humaines.
La ZPM du banc de Sainte-Anne proposée est située à l'est du Cap-Breton (Nouvelle-Écosse), et présente de nombreuses caractéristiques importantes du point de vue écologique et biologique, dont des habitats uniques, des zones de forte biodiversité et de forte productivité biologique et des espèces marines menacées ou en voie de disparition, ainsi que leurs habitats. Il a été établi que les activités humaines actuelles ou futures, comme la pêche commerciale et l'exploration et l'exploitation pétrolières et gazières, présentent un risque pour ces caractéristiques. Le règlement proposé contribuerait à la protection et à la conservation de la biodiversité, des fonctions des écosystèmes et des caractéristiques naturelles particulières de cette zone marine.
Description : Le règlement proposé serait pris en vertu du paragraphe 35(3) de la Loi sur les océans afin de désigner, conserver et protéger la zone du banc de Sainte-Anne, y compris le banc Scatarie, la plus grande partie du banc de Sainte-Anne, et une partie de l'extrémité ouest du talus et du chenal Laurentien, en tant que ZPM couvrant environ 4 364 km2.
Le règlement proposé interdirait toute activité qui perturbe, endommage, détruit ou retire un organisme marin vivant ou toute partie de son habitat dans la ZPM du banc de Sainte-Anne, tout en prévoyant certaines exceptions aux interdictions pour des activités précises qui ne compromettent pas les objectifs de conservation (par exemple certaines activités de pêche, la recherche scientifique approuvée par le ministre). Par conséquent, le règlement proposé interdirait les activités qui contreviennent à l'atteinte des objectifs de conservation de la ZPM, y compris la pêche avec des engins mobiles qui entrent en contact avec le fond et l'exploration et l'exploitation pétrolières et gazières dans l'ensemble de la ZPM. Le règlement proposé établirait quatre zones de gestion, dont une zone de protection centrale où les activités humaines seraient réduites au minimum et trois zones de gestion adaptative où les activités actuelles ayant une faible incidence seraient permises, y compris, sans toutefois s'y limiter, la pêche à la canne et au moulinet et la pêche aux casiers. Ensemble, ces zones assureraient la conservation et la protection de la diversité biologique, de l'habitat et de la productivité écosystémique de la zone du banc de Sainte-Anne.
Règle du « un pour un » et lentille des petites entreprises : Ni la règle du « un pour un » ni la lentille des petites entreprises ne s'appliquent à cette proposition de règlement. Le règlement proposé ne devrait pas alourdir le fardeau administratif des entreprises commerciales, et les coûts supplémentaires prévus pour l'industrie sont beaucoup moins importants que le seuil d'un million de dollars, qui rendrait applicable la lentille des petites entreprises.
Énoncé des coûts et avantages : La désignation de la ZPM du banc de Sainte-Anne offrirait une protection à long terme à une zone à forte diversité d'espèces et d'habitats où l'on retrouve des espèces et des habitats fragiles et qui comporte de nombreuses autres caractéristiques importantes sur le plan écologique. Grâce à ces protections, les espèces marines disposeraient d'un refuge contre l'exploitation et les autres impacts négatifs. L'impact des activités humaines sur les habitats fragiles et importants serait réduit et la conservation et la protection d'écosystèmes uniques et productifs permettraient d'en préserver l'intégrité.
La ZPM du banc de Sainte-Anne serait avantageuse pour les Canadiens en raison des faibles coûts et du potentiel d'importants avantages écologiques à long terme. Ce sont les industries de la transformation des poissons et des fruits de mer qui subiraient les principaux coûts associés à la désignation de la ZPM. Ceux-ci ne devraient toutefois pas nuire de façon considérable à la capacité de ces industries de fonctionner et de générer des revenus. De plus, les pertes encourues pourraient être compensées par un déplacement des efforts des pêches à l'extérieur de la zone de protection centrale ou des zones de gestion adaptative. Aucune activité d'exploitation pétrolière et gazière extracôtière n'est prévue à l'intérieur ou à proximité de la ZPM dans un avenir rapproché, en raison des faibles occasions économiques associées à la production pétrolière et gazière le long du plateau et du talus continentaux et de la proximité de la ZPM de la côte. Par conséquent, aucun coût pour l'industrie de l'exploitation pétrolière et gazière n'est prévu. La désignation de la ZPM devrait entraîner certains coûts de gestion et d'administration pour le gouvernement.
Coordination et coopération à l'échelle nationale et internationale : La désignation de la ZPM du banc de Sainte-Anne par règlement contribuerait directement aux efforts du Canada visant à mettre en œuvre des mesures conformes à plusieurs ententes internationales, dont la plus importante est la Convention sur la diversité biologique (CDB). En 2010, la conférence des parties ayant souscrit à la CDB a fixé l'objectif suivant, appelé objectif 11 d'Aichi : « D'ici à 2020, au moins 17 % des zones terrestres et d'eaux intérieures et 10 % des zones marines et côtières, y compris les zones qui sont particulièrement importantes pour la diversité biologique et les services fournis par les écosystèmes, sont conservées au moyen de réseaux écologiquement représentatifs et bien reliés d'aires protégées gérées efficacement et équitablement et d'autres mesures de conservation effectives par zone, et intégrées dans l'ensemble du paysage terrestre et marin. »
Enjeux
L'activité humaine exerce une pression de plus en plus forte sur les océans et les écosystèmes aquatiques du Canada. Les intervenants et le gouvernement du Canada ont reconnu l'importance de préserver la santé et la productivité des océans. Le gouvernement du Canada a d'ailleurs réitéré son engagement, dans la lettre de mandat de 2016 du premier ministre adressée au ministre des Pêches, des Océans et de la Garde côtière canadienne et à la ministre de l'Environnement et du Changement climatique, à « accroître la proportion de zones marines et côtières canadiennes protégées — à 5 % d'ici 2017 et à 10 % d'ici 2020 ». La désignation de zones de protection marine (ZPM) en vertu de la Loi sur les océans (la Loi) protège l'écosystème marin des pressions anthropiques et permet d'assurer la santé et la viabilité à long terme de nos océans.
La zone proposée aux fins de désignation comme ZPM est située à l'est du Cap-Breton (Nouvelle-Écosse), et englobe le banc Scatarie, la plus grande partie du banc de Sainte-Anne, et une partie de l'extrémité ouest du talus et du chenal Laurentien. Elle couvre environ 4 364 km2. La ZPM proposée possède de nombreuses caractéristiques d'importance écologique et biologique, y compris, sans toutefois s'y limiter :
- un habitat unique comme un grand banc sur l'intérieur de la plate-forme néo-écossaise; sa plage de températures annuelles de la surface de la mer est la plus élevée de la plate-forme, et l'intérieur du site présente des caractéristiques distinctives (haut-fond, banc Scatarie et zones à haut relief);
- une zone qui offre un habitat important pour les ressources halieutiques, commerciales ou non (par exemple la morue franche, le sébaste, la merluche blanche, la plie grise ainsi que les éponges et les coraux);
- une grande diversité de poissons et d'habitats benthiques (c'est-à-dire des environnements du fond océanique tels que des concentrations de pennatules et d'éponges);
- la présence d'espèces en voie de disparition et menacées, et de leur habitat (par exemple une aire d'alimentation importante pour la tortue luth, une espèce en voie de disparition en vertu de la Loi sur les espèces en péril [LEP], un habitat important pour le loup atlantique et les autres espèces que Pêches et Océans Canada [MPO] considère comme étant en déclin, notamment la morue franche, la plie canadienne et le sébaste, ainsi qu'un habitat périodique pour le loup à tête large, une espèce menacée en vertu de la LEP).
Les habitats, la productivité et la biodiversité de la zone sont menacés par certaines activités actuelles et futures potentielles qui pourraient avoir un impact sur les caractéristiques écologiques et biologiques. Le MPO a effectué une évaluation du risque écologique afin de déterminer le risque relatif que présentent les interactions entre les priorités de conservation de la ZPM proposée et les activités humaines actuelles ou futures dans le contexte des lois et des programmes existants. Les résultats de l'évaluation des risques ont aidé à éclairer les exceptions à l'interdiction générale du règlement proposé. À la lumière des risques décrits ci-dessous, le Règlement sur la zone de protection marine du banc de Sainte-Anne (le « règlement proposé ») est proposé afin d'assurer une protection à long terme contre les activités humaines qui pourraient avoir des répercussions négatives sur cette aire marine importante sur le plan écologique.
Contexte
Les activités actuelles dans la ZPM proposée sont l'exécution de relevés de recherche, le transport maritime et une variété de pêches commerciales. Bien qu'aucune activité pétrolière ou gazière connue ne soit prévue dans les limites de la ZPM proposée, il est possible que de telles activités aient lieu à l'avenir, en raison du potentiel pétrolier d'une portion de la ZPM proposée (voir référence 1).
À l'heure actuelle, les pêches sont autorisées et gérées dans l'ensemble de la zone en vertu de la Loi sur les pêches ou la Loi sur la protection des pêches côtières. L'évaluation des risques a révélé que le chalutage pélagique et de fond du sébaste présente un risque élevé d'incidence pour de nombreuses espèces prioritaires et leurs habitats (par exemple la morue franche et les poissons de fond) et d'autres priorités de conservation (par exemple une zone ayant une grande diversité de poissons); voir la section « Objectifs » pour plus de détails. Les chaluts de fond présentent également un risque élevé pour les environnements benthiques fragiles, y compris les zones d'espèces structurantes (par exemple les coraux). La pêche du crabe des neiges pose des risques moyens à élevés d'enchevêtrement pour les tortues et les mammifères marins, mais des risques faibles ou très faibles pour les autres priorités en matière de conservation. La pêche du buccin au casier pose des risques moyens pour les mammifères marins et les tortues de mer en raison du potentiel d'enchevêtrement, et des risques modérés à certaines espèces prioritaires (par exemple les poissons de fond et le loup atlantique) et aux invertébrés benthiques (autres que le buccin), en raison des prises accessoires. La pêche du homard au casier et la pêche du hareng au filet maillant pour la rave et l'appât présentent des risques faibles à très faibles pour toutes les priorités en matière de conservation. Si la pêche du flétan à la palangre présente peu de risques pour la tortue luth, le requin, les espèces benthiques et structurantes et les invertébrés benthiques, un risque moyen à élevé a été attribué à la plupart des priorités en matière de conservation des poissons en raison des prises accessoires d'espèces à risque ou en déclin (par exemple le loup atlantique et la morue franche). Il a été déterminé que la chasse au phoque représentait un faible risque pour toutes les priorités en matière de conservation.
L'évaluation des risques que présentent les activités pétrolières et gazières se limitait aux interactions entre les priorités en matière de conservation et les pressions liées aux activités pétrolières et gazières, à savoir les levés sismiques d'exploration et le forage exploratoire (boues et déblais de forage, bruits associés au forage et déversements accidentels et éruptions), étant donné que toute prévision des activités de développement qui pourraient avoir lieu dans le site d'intérêt (SI) serait hautement spéculative. Il a été déterminé que les levés sismiques présentent un risque modéré pour les stades biologiques sensibles des invertébrés et des producteurs primaires, et un risque élevé pour la tortue luth, les mammifères marins et certains poissons. Les activités associées au forage exploratoire présentent des risques moyens à élevés pour les interactions avec toutes les priorités en matière de conservation (par exemple les poissons, les invertébrés benthiques, les producteurs primaires, les habitats benthiques, les tortues luths et les prédateurs de niveau trophique supérieur).
Avec les mesures d'atténuation prévues dans le Règlement sur le contrôle et la gestion de l'eau de ballast du Canada, il a été déterminé que les activités d'échange des eaux de ballast présentent un risque faible pour les priorités de conservation du site. Les collisions avec les navires présentent un risque modéré pour les tortues luths et un risque élevé pour les mammifères marins. Le bruit des navires présente des risques moyens à élevés pour les poissons, les tortues et les mammifères marins. Les grands déversements accidentels provenant de navires présentent des risques moyens à élevés pour toutes les priorités en matière de conservation. En vertu de la Convention des Nations Unies sur le droit de la mer, le pouvoir du Canada lui permettant de réglementer les droits de navigation internationaux dans la zone économique exclusive du Canada est limité. Néanmoins, si l'on se fie à l'expérience avec d'autres ZPM, des efforts seront déployés pour améliorer les activités d'intendance et de sensibilisation à la zone à l'intérieur de la communauté maritime (par exemple les Avis aux navigateurs).
Engagement du Canada
Le gouvernement du Canada s'engage à atteindre les objectifs internationaux établis dans l'objectif 11 d'Aichi. Dans sa lettre de mandat au ministre des Pêches, des Océans et de la Garde côtière canadienne, le premier ministre demande au ministre « d'accroître la proportion de zones marines et côtières protégées du Canada — à 5 % d'ici 2017 et à 10 % d'ici 2020 — grâce à de nouveaux investissements en matière de science et de consultation des collectivités ». Le budget fédéral de 2016 précise la question en attribuant « 81,3 millions de dollars sur cinq ans, à compter de 2016-2017, à Pêches et Océans Canada et à Ressources naturelles Canada afin de soutenir les activités de conservation marine, y compris la désignation de nouvelles zones de protection marine en vertu de la Loi sur les océans ».
Ces récents développements misent sur les engagements pris préalablement dans le cadre de l'initiative Santé des océans (2007) et du Plan de conservation national (2014). Après sept mois de consultations publiques en 2009 et 2010, le site du banc de Sainte-Anne a été retenu parmi trois zones candidates dans la région des Maritimes du MPO. En juin 2011, on a annoncé officiellement que le banc de Sainte-Anne constitue un site d'intérêt. Ce site a été sélectionné parce qu'il répond à tous les critères de désignation en tant que ZPM en vertu du paragraphe 35(1) de la Loi sur les pêches et en raison du soutien qu'il a reçu durant la période de consultation. Par ailleurs, le banc de Sainte-Anne constituait un candidat solide pour une ZPM car il présente de nombreuses caractéristiques importantes du point de vue écologique et biologique, dont des habitats uniques, des zones de forte biodiversité et de forte productivité biologique et des espèces marines menacées ou en voie de disparition ainsi que leurs habitats.
Objectifs
Les buts et les objectifs relatifs à la ZPM proposée ont été élaborés dans le cadre d'un processus consultatif revu par les pairs (voir référence 2) et mis au point en fonction des avis scientifiques d'un comité consultatif d'intervenants. Le principal objectif du règlement proposé est la conservation et la protection de la biodiversité, de la fonction écosystémique et des caractéristiques naturelles particulières de la ZPM du banc de Sainte-Anne. Les objectifs de conservation de la ZPM sont décrits plus précisément ci-après.
1. Habitat
Conserver et protéger :
- Tous les principaux habitats benthiques, démersaux (c'est-à-dire proche du fond marin) et pélagiques (c'est-à-dire dans la colonne d'eau) présents dans la ZPM du banc de Sainte-Anne, de même que les propriétés et les processus physiques, chimiques, géologiques et biologiques connexes;
- Les propriétés physiques distinctives et leurs caractéristiques écologiques connexes;
- L'habitat structurel offert par les concentrations de pennatules et d'éponges.
2. Biodiversité
Conserver et protéger la biodiversité de la ZPM du banc de Sainte-Anne sur le plan des communautés, des espèces, des populations et de la génétique, y compris, sans toutefois s'y limiter :
- Les espèces prioritaires et leurs habitats (y compris la tortue luth, le loup atlantique, la morue franche et la plie canadienne);
- La zone de grande diversité de poissons du site.
3. Productivité
Conserver et protéger la productivité biologique dans tous les niveaux trophiques, de façon à ce que ceux-ci soient en mesure de jouer leur rôle écologique dans les écosystèmes de la ZPM du banc de Sainte-Anne.
L'évaluation des risques a révélé qu'un petit nombre d'activités définies comme étant des exceptions aux interdictions posait un risque moyen à élevé pour certaines priorités de conservation. Le règlement proposé, de concert avec d'autres mesures de gestion qui s'appliquent déjà aux activités, contribuerait à la conservation et à la protection de la biodiversité dans son ensemble, de la fonction écosystémique et des caractéristiques naturelles particulières de cette zone marine. Par conséquent, permettre ces activités, comme il est indiqué ci-dessous, ne compromettrait pas la réalisation des objectifs de conservation.
Les objectifs secondaires du règlement proposé sont les suivants :
- conserver et assurer l'utilisation écologiquement durable des ressources marines vivantes dans la ZPM proposée;
- aider à maintenir la santé et la résilience de l'écosystème, et soutenir l'utilisation écologiquement durable des ressources marines vivantes au-delà des limites de la ZPM du banc de Sainte-Anne.
Description
Le règlement proposé serait pris en vertu du paragraphe 35(3) de la Loi sur les océans pour établir la ZPM du banc de Sainte-Anne. La ZPM proposée aurait une superficie de 4 364 km2.
Interdictions
Le règlement proposé interdirait, dans cette zone, d'exercer toute activité qui perturbe, endommage, détruit ou retire tout organisme marin vivant ou toute partie de son habitat, ou qui est susceptible de le faire. La ZPM proposée comprendrait le fond et le sous-sol marins jusqu'à une profondeur de 5 m, afin de protéger la couche biologique active des communautés du fond marin dans la zone.
Limites et zones de gestion de la ZPM
Le règlement proposé établirait les limites de la ZPM du banc de Sainte-Anne et des zones de gestion (figure 1). Au sein de chacune des zones de gestion désignées, des activités précises seraient permises (en tant qu'exceptions aux interdictions), dans la mesure où elles ne compromettent pas les objectifs de conservation de la ZPM. La proposition de zonage fournirait différents niveaux de protection dans la ZPM proposée, les plus stricts étant appliqués aux zones en ayant le plus besoin. Les zones de gestion seraient divisées de la façon suivante :
- Zone de protection centrale (ZPC) [zone 1] : Cette zone aurait une superficie d'environ 3 550 km2. La plupart des activités humaines seraient limitées afin de protéger l'habitat, la biodiversité et la productivité biologique. Les seules activités qui seraient autorisées dans cette zone seraient celles qui :
- a) augmentent les connaissances sur les caractéristiques particulières de la zone désignée ou qui sont directement liées à la gestion de la ZPM (par exemple les activités de recherche et de suivi scientifiques approuvées);
- b) présentent un faible risque pour la biodiversité, la productivité et les caractéristiques naturelles particulières (par exemple le tourisme maritime commercial et les activités éducatives autorisés, la pêche autochtone à des fins alimentaires, sociales et rituelles, la pêche aux phoques);
- c) sont liées à la sécurité publique, à la sécurité nationale et au transport maritime.
- Zones de gestion adaptative ou ZGA (zones 2, 3 et 4) :
Ces zones sont conçues pour accommoder certaines activités compatibles avec les objectifs de conservation de la ZPM proposée (par exemple la pêche à la palangre de fond et au casier). Les activités autorisées dans la zone de protection centrale seraient également autorisées dans ces zones. Les zones 2, 3 et 4 couvrent une superficie d'environ 480 km2, 113 km2 et 221 km2, respectivement.
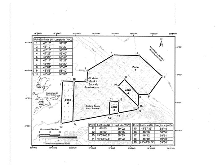
Figure 1 : Carte indiquant une illustration de la zone de protection marine du banc de Sainte-Anne proposée, ses limites et ses zones de gestion

Activités qui seraient autorisées dans la ZPM en vertu du règlement proposé
Le règlement proposé prévoirait des exceptions aux interdictions afin d'autoriser des activités précises à l'intérieur de la ZPM. Certaines de ces activités dans la ZPM nécessiteraient l'approbation d'un plan d'activités par le ministre des Pêches, des Océans et de la Garde côtière canadienne (le ministre) afin de pouvoir être exercées dans la ZPM. Les seules activités qui seraient autorisées sont celles qui sont énumérées ci-dessous. Les autres activités seraient assujetties aux interdictions et, par conséquent, ne seraient pas autorisées dans la ZPM (par exemple l'exploration et l'exploitation pétrolières et gazières, la pêche avec des engins mobiles qui entrent en contact avec le fond).
Les exceptions proposées comprennent ce qui suit :
(1) Pêche
Les activités de pêche suivantes seraient autorisées dans la ZPM, si elles sont effectuées conformément à la Loi sur les pêches, à la Loi sur la protection des pêches côtières et aux règlements adoptés en application de ces lois :
- Dans toute la ZPM proposée :
- — la pêche, autre que la pêche commerciale, autorisée par le Règlement sur les permis de pêche communautaires des Autochtones;
- — la pêche au phoque et toute activité connexe qui est autorisée par le Règlement sur les mammifères marins ou, lorsque requis, le Règlement sur les permis de pêche communautaires des Autochtones. (La pêche au phoque comprend la pêche commerciale, la pêche à des fins personnelles, la pêche aux phoques nuisibles et les activités connexes des observateurs qui relèvent de la réglementation applicable.);
- Dans la zone 2 : la pêche récréative et commerciale à l'aide de nasses, de casiers, de cannes et moulinets, de harpons, de palangres de fond ou de lignes à main, de filets maillants ou en plongée;
- Dans les zones 3 et 4 : la pêche récréative et commerciale à l'aide de nasses, de casiers, de cannes et moulinets, de harpons, de palangres de fond ou de lignes à main.
Remarque : Immédiatement après la désignation, seulement certaines pêches pratiquées à l'aide des engins susmentionnés seraient autorisées dans certaines zones de la ZPM, sujet aux mécanismes existants en matière de gestion des pêches de la Loi sur les pêches ou de la Loi sur la protection des pêches côtières. Voir la section « Mise en œuvre, application et normes de service » ci-dessous pour une liste des pêches permises dans la ZPM après sa désignation.
(2) Navigation
Toutes les activités de navigation et de transport maritime seraient autorisées dans la ZPM proposée si elles sont effectuées conformément à la Loi de 2001 sur la marine marchande du Canada et à ses règlements.
(3) Sécurité et urgence
Dans l'ensemble de la ZPM, les activités visant la sécurité publique, l'application de la loi, la sécurité nationale ou les interventions d'urgence (par exemple les opérations de recherche et de sauvetage de navires ou l'intervention en cas d'incident entraînant le rejet de substances nocives) seraient autorisées.
(4) Activités de recherche et de suivi scientifiques, de nature éducative ou de tourisme maritime commercial
Les activités de recherche ou de suivi scientifiques, éducatives ou de tourisme maritime commercial seraient autorisées dans la ZPM (dans la ZPC et toutes les ZGA), si elles font partie d'un plan d'activités approuvé par le ministre. Bien que permises dans la ZPM proposée, ces activités continueraient d'être assujetties à toutes les autres exigences législatives et réglementaires applicables. Les promoteurs continueraient de devoir obtenir toutes les autres autorisations nécessaires (par exemple les permis, les licences) afin d'exercer les activités respectives.
Afin de s'assurer que les activités entreprises dans la ZPM ne nuisent pas aux objectifs de conservation, les demandeurs devront présenter un plan d'activité contenant les renseignements demandés à l'article 9 du règlement proposé aux fins d'approbation par le ministre. Ces renseignements seront utilisés pour évaluer les répercussions de l'activité proposée sur les objectifs de conservation de la ZPM et serviront de fondement à la décision d'approuver ou non l'activité.
Les activités de recherche et de suivi scientifiques seront approuvées pour l'ensemble de la ZPM si elles ne risquent pas de détruire l'habitat des organismes marins vivants et si elles servent à : a) soit accroître les connaissances de la biodiversité, de la productivité biologique ou l'habitat de tout organisme marin vivant dans la ZPM; b) soit assurer la gestion de la ZPM.
Les activités éducatives et de tourisme maritime commercial seront approuvées pour l'ensemble de la ZPM si elles ne risquent pas d'endommager, de détruire ou d'enlever tout organisme marin vivant ou toute partie de son habitat dans la ZPM et si elles servent à accroître la sensibilisation du public à la ZPM.
Le ministre devra approuver ou rejeter le plan d'activités dans les 60 jours suivant la date à laquelle le plan a été présenté. Une personne pourra modifier son plan d'activité en tout temps avant qu'une décision soit prise par le ministre. Si une version modifiée du plan est soumise, le délai d'évaluation sera fixé de nouveau à 60 jours, quelle que soit la date de l'activité proposée.
En vertu du règlement proposé, le ministre n'approuverait pas un plan d'activité si :
- a) toute substance qui pourrait être rejetée pendant l'activité proposée est une « substance nocive » au sens du paragraphe 34(1) de la Loi sur les pêches, à moins que le rejet de la substance soit autorisé en vertu du paragraphe 36(4) de la Loi;
- b) les effets environnementaux cumulatifs de l'activité proposée, en combinaison avec toute autre activité terminée ou en cours dans la ZPM, sont susceptibles de détruire l'habitat de tout organisme marin vivant ou de nuire à la biodiversité ou la productivité biologique de la ZPM.
Le règlement proposé exigerait que tous les promoteurs d'activités approuvées soumettent un rapport d'activité au ministre dans les 90 jours suivant le dernier jour de l'activité. Ce rapport devrait contenir les renseignements figurant dans l'article 11 du règlement proposé. Ces renseignements permettraient de surveiller la pression exercée par les activités humaines sur les aspects écologiques de la ZPM, et contribueraient à la surveillance continue des risques que pourraient poser ces activités à l'atteinte des objectifs de conservation.
Options réglementaires et non réglementaires considérées
Comme il est indiqué ci-dessus, une évaluation des risques écologiques a démontré que certaines activités actuelles (par exemple la pêche du sébaste au chalut à panneaux) et futures potentielles (par exemple l'exploration pétrolière et gazière) posent un risque pour les priorités de conservation de la ZPM proposée. Les outils réglementaires existants, appliqués indépendamment, ne permettent pas d'atténuer adéquatement ces risques.
Certaines activités maritimes sont déjà réglementées en vertu de la Loi sur les pêches, de la Loi sur les espèces en péril, de la Loi de 2001 sur la marine marchande du Canada et d'autres lois fédérales dont les objectifs diffèrent de ceux de la Loi sur les océans. Le MPO ne connaît aucune mesure volontaire en place qui assurerait une protection adéquate de la zone du banc de Sainte-Anne.
Un cadre réglementaire plus cohésif et prévisible sous la forme d'une ZPM établie au titre d'un règlement pris en vertu de la Loi sur les océans est nécessaire afin d'axer les efforts sur la conservation et la protection à long terme des caractéristiques écologiques et biologiques importantes de cette zone, particulièrement par l'interdiction des activités dans les secteurs où ils représentent le plus grand risque de dommages.
Avantages et coûts
Avantages de la proposition
La désignation de la ZPM du banc de Sainte-Anne devrait avoir certains avantages potentiels. Bien que ces avantages ne puissent être directement attribuables à la ZPM proposée en raison d'un manque de données, un examen des quelque 130 études et articles de revues scientifiques (voir référence 3) sur les avantages découlant de la protection des écosystèmes marins au Canada et dans d'autres pays révèle que la désignation pourrait avoir les avantages suivants :
- valeurs d'existence associées au fait de savoir que les espèces (y compris un certain nombre d'espèces en déclin) et les caractéristiques marines importantes et les habitats importants existent, ce qui se reflète dans la volonté des Canadiens de payer pour la conservation d'espèces, de caractéristiques et d'habitats afin que les générations futures puissent en profiter;
- avantages liés à la non-utilisation pour la science et les activités relatives à l'éducation, en raison de l'augmentation des possibilités d'étude ou d'observation des espèces marines, des caractéristiques marines importantes et des habitats importants autour de la ZPM et à l'intérieur de celle-ci, ainsi que d'une meilleure compréhension de la fonction et de l'interaction des espèces, des communautés et des écosystèmes, et des résultats des activités de gestion des ressources marines;
- avantages directs pour l'industrie de la pêche commerciale en raison de l'augmentation potentielle des prises commerciales dans les zones adjacentes à la ZPM causée par le déplacement de la biomasse en raison du transfert de larves, de juvéniles ou adultes de la ZPM;
- avantages directs pour l'industrie de la pêche récréative en raison de l'amélioration des possibilités de pêche dans les zones adjacentes à la zone de protection centrale de la ZPM ou dans les zones de gestion adaptative;
- d'autres avantages potentiels sont le maintien du rôle écologique que les espèces, les caractéristiques et les habitats protégés par la désignation de la ZPM jouent dans les fonctions de l'écosystème dans la ZPM et à proximité de la zone de protection centrale de la ZPM ou des zones de gestion adaptative.
Coûts de la proposition
Pêches à des fins alimentaires, sociales et rituelles
Aucun changement n'est proposé à la pêche autochtone pratiquée à des fins alimentaires, sociales et rituelles. On ne prévoit donc aucun coût supplémentaire pour ces pêches.
Gouvernement
Les coûts d'administration et de gestion d'une ZPM pour le gouvernement comprennent les coûts associés aux évaluations des activités et à la délivrance des approbations, à la recherche scientifique, à la gestion de l'information, au suivi des écosystèmes, à la surveillance et à l'application de la loi, aux programmes de consultations publiques, d'éducation et d'intendance. La totalité des coûts de gestion et de surveillance de la ZPM a été estimée par le Ministère à environ 280 000 $ (valeur nominale) par année. Cela représente un coût total de 3,8 millions de dollars en valeur actuelle au cours d'une période de 30 ans (avec une actualisation de 7 %).
Industrie
Transformation des poissons et des fruits de mer
L'établissement de la ZPM proposée aura pour effet d'éliminer une partie de la zone de gestion totale dans laquelle les pêcheurs sont autorisés à pêcher. Selon la moyenne des données sur les prises de 2009 à 2013, la valeur nominale de la perte annuelle des débarquements des pêches commerciales par suite de l'adoption du règlement proposé est estimée à 161 700 $ avec une perte de profits connexe d'environ 20 200 $ par année. (voir référence 4) Plus de 95 % de la perte prévue résulte de l'interdiction de toutes les pêches (à l'exception de la pêche à des fins alimentaires, sociales et rituelles et de la chasse aux phoques) dans la zone de protection élevée (zone 1). Moins de 2 % de la perte résulterait de l'interdiction de la pêche avec des engins mobiles qui entrent en contact avec le fond dans chacune des autres zones. Le règlement proposé devrait avoir les répercussions les plus importantes sur les valeurs au débarquement annuelles (présentées en tant que valeurs nominales) pour la pêche du flétan à la palangre (88 200 $) et la pêche du crabe des neiges (42 300 $). On prévoit en outre que les pêches du sébaste, de la crevette, de l'oursin, du crabe commun et du pétoncle perdront un total d'un peu moins de 31 000 $ par année en revenus. La valeur actuelle totale des coûts supplémentaires (par exemple la perte de profits) pour l'industrie de la pêche commerciale est estimée à environ 271 000 $ (au cours d'une période de 30 ans, avec une actualisation de 7 %).
Une grande partie de la perte de la valeur au débarquement susmentionnée pourrait être compensée si les pêches touchées déplaçaient leurs efforts dans les secteurs à l'extérieur de la zone de protection centrale ou des zones de gestion adaptative. La mesure dans laquelle l'industrie saisirait ces possibilités de compensation est actuellement inconnue.
Selon la moyenne sur cinq ans des données sur les prises, la réglementation proposée devrait avoir une incidence sur 17 titulaires de permis dans les pêches touchées, à des degrés divers. Bien que le niveau d'impact varie selon le titulaire de permis, aucun d'eux ne dépend largement de la ZPM, puisque les débarquements concernés ne représentent pas plus de 5 % du total des prises de chaque titulaire de permis.
La perte prévue des débarquements des pêches qui sont assujetties à des interdictions sur la totalité ou une partie de la ZPM devrait entraîner une réduction de 296 000 $ par année (valeur nominale) des revenus annuels des transformateurs de produits de la mer. La perte de profits associée à cette réduction des activités de transformation est estimée à 14 800 $ (valeur nominale) par année. La valeur actuelle totale des coûts supplémentaires (par exemple la perte de profits) pour l'industrie de la transformation des produits de la mer est d'environ 198 000 $ (au cours d'une période de 30 ans, avec une actualisation de 7 %).
La pêche récréative serait autorisée dans les zones 2, 3 et 4 et ne serait assujettie à aucune exigence additionnelle dans ces zones en vertu du règlement proposé. Le coût associé à l'interdiction de la pêche récréative dans la zone 1 ne peut être déterminé, puisque l'importance de la pêche récréative dans la ZPM proposée est inconnue à l'heure actuelle, et on s'attend à ce qu'elle demeure très faible même en l'absence de la ZPM proposée.
Secteur pétrolier et gazier
Bien qu'il y ait des réserves estimées de pétrole et de gaz naturel dans les limites de la ZPM proposée, le MPO n'a pas été informé de quelque activité d'exploitation pétrolière et gazière extracôtière prévue à l'intérieur ou à proximité de la ZPM dans un avenir rapproché. Cette prévision est fondée sur des projections actuelles du marché des ressources pétrolières, les possibilités économiques pour la production de pétrole et de gaz le long du plateau et du talus continentaux et la proximité de la ZPM par rapport à la côte. Comme les rendements prévus des projets d'exploitation pétrolière et gazière dans la ZPM paraissent peu intéressants à l'heure actuelle, on s'attend à ce qu'il n'y ait aucun coût pour l'industrie pétrolière et gazière.
Il n'y a pas de puits actifs ni de permis d'exploration, de découverte importante ou d'exploitation dans la ZPM proposée du banc de Sainte-Anne ou près de celle-ci. Les efforts exploratoires, comme des relevés sismiques, ont été très faibles dans le secteur, avec peu d'intérêt de l'industrie dans ce secteur général depuis la fin des années 1990. Aucun permis n'a été délivré dans la zone du banc de Sainte-Anne depuis l'appel d'offres NS97-1 (1997). Le plan triennal (2015-2017) de l'Office Canada — Nouvelle-Écosse des hydrocarbures extracôtiers pour les zones de prévisions de l'appel d'offres comprend la ZPM proposée pour 2017 et définit ses limites (voir référence 5). Malgré l'inclusion du site d'intérêt dans les secteurs de prévisions de l'appel d'offres, il n'y a pas de projet d'exploitation pétrolière et gazière connu prévu dans la zone.
Autres industries de ressources
Il n'y a pas de projet d'exploitation minière existant ou prévu dans la ZPM proposée. Par conséquent, on ne prévoit aucune incidence sur l'industrie des ressources minérales.
On ne prévoit pas de coûts pour l'industrie de l'énergie renouvelable, puisqu'il n'y a pas de projets d'énergie éolienne, des vagues ou marémotrice dans la ZPM proposée ou à proximité de celle-ci.
Industrie des transports
Il n'y aura pas de coût pour l'industrie du transport, puisque le règlement proposé reconnaît les droits de navigation internationaux et canadiens et ne restreindra pas la navigation maritime.
Sciences, éducation et tourisme
Le règlement proposé donnerait accès à la ZPM pour des activités de recherche et de suivi scientifiques, éducatives et de tourisme maritime commercial. En vertu de ce règlement, les promoteurs devraient fournir des renseignements détaillés sur les activités scientifiques, de surveillance, éducatives ou de tourisme maritime commercial prévues et tenir compte de l'impact potentiel de ces activités sur la ZPM. Cependant, les coûts supplémentaires associés à la soumission et à l'approbation des projets devraient être minimes, car les promoteurs devraient avoir déjà soumis la plupart des renseignements requis dans le cadre des autres demandes de permis et de licences. Par exemple, si un chercheur a l'intention de prendre un échantillon d'une espèce marine, il devra également remplir une demande de permis en vertu de l'article 52 du Règlement de pêche (dispositions générales).
Il n'y a actuellement aucune activité de tourisme maritime commercial à proximité de la ZPM et l'on ne prévoit aucune nouvelle possibilité commerciale à l'intérieur de la ZPM.
Règle du « un pour un »
La règle du « un pour un » ne s'applique pas au règlement proposé, puisqu'il n'entraîne aucun changement dans les coûts administratifs des opérations. Aucune activité de tourisme maritime commercial n'a actuellement lieu ou n'est prévue dans la ZPM proposée. En outre, on ne prévoit pas que les entreprises commerciales participent aux activités scientifiques et éducatives menées dans la ZPM.
Lentille des petites entreprises
La lentille des petites entreprises ne s'applique pas à cette proposition, puisque les coûts administratifs et de conformité associés à la ZPM proposée devraient être bien en deçà du seuil de un million de dollars.
Consultation
Le règlement proposé sur la ZPM a été élaboré après plusieurs séries de consultations avec les parties intéressées et concernées (notamment les industries, les collectivités locales et les organismes de conservation), ainsi qu'avec les organismes responsables au sein du gouvernement de la Nouvelle-Écosse, les peuples et les collectivités autochtones. L'approche en matière de consultation a mis l'accent sur les principes du développement durable et était fondée sur les meilleures données scientifiques disponibles et les connaissances écologiques traditionnelles.
Processus de sélection du site d'intérêt
Un processus de consultation du public a été mené entre octobre 2009 et mai 2010 dans le but de recueillir les commentaires des divers utilisateurs maritimes, des Premières Nations, des organisations autochtones, des organismes gouvernementaux et du grand public afin d'éclairer la sélection du prochain SI aux fins de désignation possible en tant que ZPM dans l'est du plateau néo-écossais. Le site d'intérêt du banc de Sainte-Anne a reçu le plus grand soutien direct lors des consultations et c'est celui qui devrait avoir la plus faible incidence sur l'économie. Ce facteur a joué un rôle important dans le choix du banc de Sainte-Anne comme site d'intérêt, avant sa désignation comme ZPM.
Réponse à la proposition réglementaire sur la ZPM
Le Comité consultatif des intervenants sur le site d'intérêt du banc de Sainte-Anne (Comité consultatif) a été établi peu de temps après le choix du banc de Sainte-Anne comme SI aux fins de possible désignation de ZPM, et est composé de représentants de l'industrie, du milieu universitaire, d'organisations non gouvernementales de l'environnement, d'autres organismes de réglementation fédéraux et provinciaux ainsi que d'organisations autochtones et des Premières Nations. Entre avril 2012 et avril 2013, le Comité consultatif s'est réuni à quatre reprises pour examiner l'information disponible et participer à l'élaboration des objectifs de conservation et à la définition des limites de la ZPM et des zones, ainsi que pour fournir des conseils sur les activités autorisées. Des mises à jour régulières ont été présentées aux intervenants intéressés ou aux organismes qui les représentaient en 2014, 2015 et 2016.
En plus de leur permettre de participer par l'entremise du Comité consultatif, les intervenants et les partenaires pouvaient exprimer leurs préoccupations par l'intermédiaire d'un processus d'engagement bilatéral et de communication directe. Quatre réunions ont eu lieu avec un groupe de travail composé de représentants des principales pêches actives dans la zone du banc de Sainte-Anne, et de représentants des Premières Nations et d'autres participants autochtones. D'autres consultations bilatérales avec la province de la Nouvelle-Écosse, les Premières Nations et l'industrie de la pêche ont également eu lieu au cours de cette période. Les renseignements ont été transmis aux Premières Nations par l'entremise de lettres et d'une trousse d'information envoyées par la poste aux Premières Nations et aux organisations autochtones régionales de la Nouvelle-Écosse, du Nouveau-Brunswick, de l'Île-du-Prince-Édouard et de Terre-Neuve-et-Labrador et contenaient tous les renseignements recueillis par le MPO sur le site, y compris les restrictions proposées.
Résumé des consultations
Un résumé des préoccupations et des enjeux principaux soulevés lors des différentes consultations est fourni ci-dessous selon le secteur ou groupe d'intérêt.
Ministères fédéraux
Environnement et Changement climatique Canada, Transports Canada, Ressources naturelles Canada, Affaires mondiales Canada et le ministère de la Défense nationale appuient la désignation de la ZPM proposée du banc de Sainte-Anne. Ces ministères ont assisté aux réunions du Comité consultatif des intervenants ou ont été consultés dans le cadre de réunions bilatérales.
Ressources naturelles Canada et l'Office Canada — Nouvelle-Écosse des hydrocarbures extracôtiers ont exprimé des préoccupations au sujet des impacts potentiels d'une proposition de ZPM préliminaire sur les futures activités d'exploration pétrolière, de la perte potentiellement importante d'accès aux réserves futures et d'entrave aux activités économiques connexes. La partie nord du site d'intérêt original a été modifiée au cours du processus de consultation, ce qui a entraîné une réduction du chevauchement avec les zones qui pourraient contenir les plus grandes réserves d'hydrocarbures.
Province de la Nouvelle-Écosse
Les représentants de la province de la Nouvelle-Écosse ont exprimé un appui général à la désignation de la ZPM proposée, tout en demandant une certaine souplesse dans la gestion future de la ZPM. Plusieurs organismes provinciaux (ministère de l'Énergie, ministère des Pêches et de l'Aquaculture, ministère de l'Environnement et Affaires intergouvernementales) ont participé au Comité consultatif. Des consultations ont été entreprises avec ces ministères par l'intermédiaire d'un groupe de travail spécialisé auquel participaient également le Bureau des affaires autochtones, le ministère des Ressources naturelles et le ministère de la Justice.
En réponse à une proposition de ZPM préliminaire, certains organismes provinciaux ont exprimé des préoccupations au sujet de la perte possible de futures possibilités d'accès aux ressources pétrolières dans la partie nord de la limite du SI d'origine. Les limites de la ZPM proposée du banc de Sainte-Anne ont été adaptées pour réduire les chevauchements avec les zones susceptibles d'avoir un potentiel en hydrocarbures de modéré à élevé. À l'heure actuelle, il n'y a pas de permis pour les activités du secteur pétrolier, à l'intérieur ou à proximité de la ZPM proposée.
Des préoccupations ont aussi été soulevées au sujet de l'accès futur à la ZPM proposée pour mener des activités sismiques limitées aux fins de compréhension de la géologie pétrolifère de la région. Le MPO reconnaît que la nature et les répercussions potentielles de telles activités varient considérablement. Les activités de recherche scientifique, qui pourraient comprendre la recherche sismique, ne seront autorisées que si elles font partie d'un plan d'activités approuvé par le ministre, qui exigera qu'elles ne détruisent pas l'habitat de tout organisme marin vivant et qu'elles servent à accroître les connaissances des caractéristiques importantes de la ZPM ou qu'elles contribuent à sa gestion (voir la section « Description » pour obtenir de plus amples détails).
Pêches commerciales
L'industrie de la pêche commerciale est composée d'un large éventail de participants et d'associations ayant des opinions variées. En général, l'industrie de la pêche appuie la désignation de la ZPM proposée, mais a exprimé des préoccupations en ce qui concerne les limites relatives imposées aux pêches actuelles. Ces préoccupations ont été évaluées par le MPO et traitées dans la mesure du possible.
Tout au long du processus de consultation, certains membres de l'industrie de la pêche qui pêchent dans les limites de la ZPM proposée ont exprimé leur opposition à la zone proposée et à la restriction géographique des pêches actuelles. Ils ont de plus mentionné qu'il fallait envisager le retour de la pêche commerciale historique dans cette zone. Le groupe de travail sur l'industrie de la pêche a été formé en 2011, et quatre réunions ont eu lieu afin de s'assurer que tous les secteurs intéressés de l'industrie de la pêche ont eu l'occasion de formuler des commentaires sur la conception de la ZPM. Par conséquent, les trois zones de gestion (zones 2, 3 et 4) ont été définies de manière à permettre la pêche aux engins fixes existants, à la canne et au moulinet et la pêche en plongée au sein de la ZPM. Ces zones ont permis d'atténuer les craintes de certains participants de l'industrie, puisqu'elles tiennent compte de la majeure partie des débarquements du site d'intérêt du banc de Sainte-Anne au cours des 10 dernières années. Après la désignation de la ZPM, la pêche avec d'autres engins fixes, cannes et moulinet et harpon (par exemple le retour des pêches historiques) pourrait être autorisée dans les zones 2, 3 ou 4 si les impacts écologiques de ces pêches ne compromettent pas les objectifs de conservation de la ZPM. Étant donné que la ZPM au complet sera interdite à toute la flottille de pêche du poisson de fond avec engin mobile, la modification des frontières a atténué les craintes relatives à la perte de lieux de pêche.
Tout au long du développement de la proposition réglementaire, le MPO a continué de communiquer des renseignements à l'industrie de la pêche et de recueillir les commentaires de celle-ci. En 2015, des préoccupations ont été soulevées par certains titulaires de permis de pêche au poisson de fond au sujet de la fermeture de lieux de pêche pour la pêche au flétan dans l'unité de gestion 4Vn (c'est-à-dire l'unité de gestion des pêches de l'Organisation des pêches de l'Atlantique Nord-Ouest située au large de la côte est du Cap-Breton). Les titulaires de permis sont de plus en plus actifs puisque les quotas de pêche au flétan dans la région, y compris au large du Cap-Breton, continuent d'augmenter. À la lumière de ces nouvelles tendances dans l'industrie de la pêche, les intervenants prévoient que les efforts de pêche et la répartition des espèces augmenteront ou seront différents de la situation actuelle. Les participants de l'industrie ont fait valoir que toutes les zones de pêche disponibles sont nécessaires pour donner accès aux nouveaux pêcheurs et aux pêcheurs actifs. Le MPO a répondu à l'industrie en précisant sa démarche, qui ferait en sorte que l'essentiel de l'effort de pêche déployé dans les limites de la zone proposée ne soit pas touché. La zone 1 de la ZPM (la zone de protection centrale), au sein de laquelle certaines activités de pêche au flétan ont eu lieu par le passé, ne sera pas accessible après la désignation. L'évaluation scientifique des risques appuie les interdictions proposées dans la zone de protection centrale, car elle démontre que les risques pour les objectifs de conservation sont réduits lorsqu'il y a très peu de chevauchement entre les zones de pêche disponibles et les caractéristiques écologiques d'intérêt.
En 2016, une demande a été présentée au MPO pour permettre la pêche du thon à la ligne et la pêche de l'espadon au harpon dans l'ensemble de la ZPM, ainsi que la pêche du crabe commun par casier et la pêche de toutes les espèces à la palangre et à la ligne à main dans les zones 2 à 4, et pour accroître la taille de ces zones. Le MPO confirme qu'il a été déterminé que les pêches au casier, à la canne et au moulinet (à la ligne), à la palangre et à la ligne à main ne représentent pas de risque pour les objectifs de conservation de la ZPM et qu'elles sont déjà comprises dans la liste proposée des engins de pêche autorisés dans les zones 2, 3 et 4. Après une analyse plus poussée, Pêches et Océans Canada a déterminé que l'ajout de la pêche au harpon à la liste des engins de pêche autorisés dans les zones 2, 3 et 4 ne représente pas un risque pour les objectifs de conservation de la ZPM et a modifié en conséquence le règlement proposé. La taille et l'emplacement des zones de gestion adaptative sont jugés appropriés et sont fondés sur la meilleure information accessible à l'heure actuelle.
Premières Nations et organisations autochtones
Les Premières Nations et les groupes autochtones appuient le projet de ZPM de façon générale. Les Premières Nations et les groupes autochtones contactés dans le cadre de ces consultations comprenaient l'Assemblée des chefs mi'kmaq de la Nouvelle-Écosse, par l'intermédiaire du bureau de négociation Kwilmu'kw Maw-klusuaqn (KMK, Initiative des droits des Mi'kmaq); les cinq Premières Nations du Cap-Breton (Première Nation de Membertou, d'Eskasoni, de l'île Potlotek/Chapel, de Wagmatcook et de Waycobah), l'Unama'ki Institute of Natural Resources, et des groupes hors réserve comme le Native Council of Nova Scotia et le Maritime Aboriginal Aquatic Resources Secretariate. Les Premières Nations et les organisations autochtones hors réserve des provinces avoisinantes ont aussi été invitées à fournir des commentaires tout au long du processus. Aucune des Premières Nations de l'extérieur de la Nouvelle-Écosse n'a présenté de réponse.
Les Premières Nations et les organisations autochtones étaient représentées au Comité consultatif des intervenants et au groupe de travail sur l'industrie de la pêche. Les efforts de consultation comprenaient également des réunions bilatérales et un partage de renseignements par courrier postal et électronique. Les renseignements fournis dans le cadre de ces processus comprenaient entre autres des aperçus écologiques et socioéconomiques, un rapport sur l'utilisation traditionnelle des Mi'kmaq contenant des renseignements obtenus dans le cadre d'entrevues avec les détenteurs de connaissances des Premières Nations d'Eskasoni, de Membertou, de Potlotek, de Waycobah, de Millbrook et de Wagmatcook et les limites proposées de la ZPM, les zones et les mesures réglementaires.
Le bureau de négociation Kwilmu'kw Maw-klusuaqn a fait part de ses préoccupations quant aux restrictions imposées par la ZPM proposée sur l'accès aux pêches commerciales par les Mi'kmaq. Une demande a été faite par le bureau de négociation Kwilmu'kw Maw-klusuaqn (KMK) quant à un dialogue plus approfondi sur les répercussions sur les activités de pêche autochtones, et pour examiner les possibilités de collaboration et de renforcement des capacités des Premières Nations en vue de répondre aux besoins en matière de gestion du site et de participer à la sélection des ZPM futures. Afin d'atténuer les préoccupations relatives à l'accès aux pêches, Pêches et Océans Canada a confirmé dans une lettre au bureau de négociation KMK en juillet 2013 qu'aucune modification n'a été proposée pour les pêches autochtones à des fins alimentaires, sociales et rituelles, et que certaines pêches commerciales pourraient se poursuivre dans trois des quatre zones au sein de la ZPM proposée, où la majorité des pêches commerciales ont eu lieu.
Dans les premières correspondances, le bureau de négociation Kwilmu'kw Maw-klusuaqn, le Native Council of Nova Scotia et les membres des collectivités locales exprimaient des préoccupations au sujet des munitions non explosées et des dépôts de munitions désignés situés à l'intérieur des limites de la ZPM proposée et des effets potentiels qu'ils pourraient avoir sur l'environnement. Les activités d'assainissement menées par le gouvernement du Canada relatives à la désignation des dépôts de munitions ou des munitions non explosées dans la ZPM seraient considérées comme des activités liées à la sécurité publique. Même si aucune activité d'assainissement n'est prévue dans la zone, Pêches et Océans Canada et le ministère de la Défense nationale collaboreront pour s'assurer que les impacts sur les priorités en matière de conservation de la ZPM sont surveillés et réduits dans la mesure du possible.
En décembre 2014, le MPO a transmis l'intention réglementaire avec les limites et les restrictions de pêche proposées au bureau de négociation KMK par l'intermédiaire du comité consultatif multipartite et n'a reçu aucune réponse.
Le cadre réglementaire et de gestion proposé pour la ZPM du banc de Sainte-Anne prévoit une collaboration entre le MPO, les Premières Nations locales et d'autres groupes autochtones. Pêches et Océans Canada a lancé un projet de subvention et de contribution au cours de l'exercice 2014-2015 afin d'appuyer les efforts de l'Unama'ki Institute of Natural Resources (UINR) visant à examiner la participation de l'UINR à la surveillance des activités scientifiques et humaines dans la ZPM proposée. Cette initiative a établi les bases d'une collaboration future.
En 2016, le titulaire d'un permis de pêche commerciale communautaire a exprimé ses craintes relatives à l'interdiction de la pêche à la canne et au moulinet dans la ZPM proposée. Le MPO a reconnu qu'il y avait eu des développements dans diverses pêches dans la sous-division 4Vn depuis la fin des premières consultations sur la ZPM. Comme il a été déterminé que la pêche au thon dans les zones 2, 3 et 4 ne représentait pas un risque pour les objectifs de conservation, la canne et le moulinet ont été ajoutés à la liste des engins de pêche autorisés dans ces zones. Pêches et Océans Canada a l'intention de permettre la pêche au thon avec ces engins dans les zones 2, 3 et 4 de la ZPM.
Énergies non renouvelables
L'Association canadienne des producteurs pétroliers a été invitée à assister aux réunions du Comité consultatif et a reçu l'information liée à la création de la ZPM proposée du banc de Sainte-Anne, y compris les limites proposées, les zones de gestion et l'approche réglementaire. L'Association n'a fourni aucune réponse.
Il n'y a pas de projets d'exploitation minière existants ou proposés au sein ou à proximité de la ZPM proposée. Par conséquent, le secteur de l'exploitation minière n'a pas été approché directement.
Énergie renouvelable
Il n'y a pas de projets d'exploitation de l'énergie éolienne, des vagues ou marémotrice dans les eaux situées à l'intérieur ou à proximité du site d'intérêt. Par conséquent, le secteur de l'énergie renouvelable n'a pas été approché directement.
Transport maritime
Ce secteur est représenté au sein du Comité consultatif par la Fédération maritime du Canada. L'industrie du transport maritime appuie la désignation de la ZPM en général. Le règlement proposé ne compromettra pas les droits de navigation prévus en vertu du droit canadien ou international.
Des préoccupations ont été exprimées par le secteur au sujet de l'impact de la réglementation proposée sur les mouvements des navires dans cette zone de circulation élevée et des répercussions sur le transport maritime en raison des changements potentiels de la zone alternative hivernale de renouvellement des eaux de ballast dans le chenal Laurentien, qui chevauche une portion de la ZPM proposée. De même, il a été déterminé qu'avec les mesures d'atténuation en place, le renouvellement des eaux de ballast représentait un risque faible et pourrait se poursuivre. Le MPO travaillera en collaboration avec Transports Canada pour surveiller les activités des navires au sein de la ZPM et pour s'assurer que les risques écologiques que présentent les activités de navigation dans la zone sont évalués et atténués à l'aide des lois nationale et internationale existantes.
Organisations non gouvernementales — conservation
Le secteur de la conservation marine appuie fortement la désignation de la ZPM.
Ce secteur était représenté au sein du comité consultatif par le Fonds mondial pour la nature, l'Ecology Action Centre et la Société pour la nature et les parcs du Canada. Une autre consultation avec le secteur de la conservation marine s'est tenue au moyen d'une correspondance régulière et de réunions bilatérales.
Des préoccupations ont été soulevées au sujet de la réduction de la taille de la ZPM proposée comparativement au SI d'origine en 2011. Certains portaient plus précisément sur la réduction de l'habitat protégé pour les espèces prioritaires (par exemple le poisson de fond). Avec l'élargissement de la limite du site d'intérêt au sud-est, le tracé définitif de la ZPM proposée englobe plusieurs caractéristiques d'un intérêt écologique particulier pour les organisations environnementales.
Le secteur a également recommandé qu'une partie importante de la ZPM proposée soit une zone de protection centrale (aucun prélèvement), afin de maximiser l'efficacité de la ZPM et de respecter les directives et pratiques exemplaires internationales sur la conception de zones protégées (par exemple celles de l'Union internationale pour la conservation de la nature ou UICN). Pêches et Océans Canada a déterminé que la création d'une grande zone de protection centrale pour la ZPM du banc de Sainte-Anne, comme celle qui est proposée, s'harmonise avec les pratiques exemplaires internationales.
Dès le début du processus, le secteur a demandé que la morue soit incluse comme une priorité de conservation distincte pour la ZPM du banc de Sainte-Anne, et a mentionné que le suivi des changements dans l'abondance des espèces comme la morue serait essentiel pour mesurer la réussite des efforts de conservation dans la ZPM. À la suite de discussions entre le MPO et le secteur de la conservation marine, il a été convenu que la morue serait une priorité et qu'elle aurait un statut semblable à celui de toutes les autres espèces de poissons de fond. Le MPO effectuera un suivi continu des stocks dans cette zone et étudiera d'autres exigences en matière de surveillance, comme le Système de surveillance des navires et le Programme des observateurs en mer.
Le secteur de la conservation marine recherche un engagement continu envers l'initiative de la ZPM, surtout en ce qui concerne la gestion et le suivi continu de celle-ci. Le MPO cherche des occasions de collaborer avec des intervenants pour assurer l'efficacité de l'approche de gestion postérieure à la désignation.
Les consultations récentes comprennent une présentation sur le projet de règlement au Forum des ONGE à l'automne 2014, et des mises à jour de la situation en décembre 2015 et en septembre 2016. Aucune nouvelle préoccupation n'a été soulevée.
Coopération en matière de réglementation
La désignation de la ZPM du banc de Sainte-Anne par règlement contribuerait directement aux efforts du Canada visant à mettre en œuvre des mesures conformes à plusieurs ententes internationales, dont la plus importante est la Convention sur la diversité biologique (CDB). En 2010, la conférence des parties ayant souscrit à la CDB a fixé l'objectif suivant, appelé objectif 11 d'Aichi : « D'ici à 2020, au moins 17 % des zones terrestres et d'eaux intérieures et 10 % des zones marines et côtières, y compris les zones qui sont particulièrement importantes pour la diversité biologique et les services fournis par les écosystèmes, seront conservées au moyen de réseaux écologiquement représentatifs et bien reliés d'aires protégées gérées efficacement et équitablement et d'autres mesures de conservation effectives par zone, et intégrées dans l'ensemble du paysage terrestre et marin. »
Le MPO et l'Office Canada — Nouvelle-Écosse des hydrocarbures extracôtiers (OCNEHE) ont conclu un protocole d'entente qui donne un aperçu des efforts conjoints et de la coopération en matière de réglementation en ce qui concerne les questions d'intérêt commun, notamment des ZPM. À la manière des efforts entrepris avec la zone de protection marine du Gully, le MPO travaillera avec l'OCNEHE pour assurer la conformité réglementaire avec la Loi sur les océans pour toutes les activités et autorisations dont l'OCNEHE est responsable.
Justification
La désignation de la ZPM du banc de Sainte-Anne offrirait une protection à long terme à une zone à forte diversité d'espèces et d'habitats où l'on retrouve des espèces et des habitats fragiles et qui comporte de nombreuses autres caractéristiques importantes sur le plan écologique. Grâce à cette protection, les espèces marines disposeront d'un refuge contre l'exploitation et les autres impacts négatifs. L'impact des activités humaines sur les habitats fragiles et importants sera réduit et la conservation et la protection d'écosystèmes uniques et productifs permettront d'en préserver l'intégrité.
Les buts et les objectifs qui ont éclairé l'élaboration du règlement proposé ont été validés au moyen d'un processus de mobilisation des intervenants comportant plusieurs étapes. Tous les intervenants ont appuyé la proposition de la désignation de la ZPM du banc de Sainte-Anne proposée. La ZPM du banc de Sainte-Anne serait avantageuse pour les Canadiens en raison des faibles coûts et du potentiel d'importants avantages écologiques à long terme.
La désignation de la ZPM du banc de Sainte-Anne par règlement témoignerait des efforts du Canada de mettre en œuvre des mesures conformes à plusieurs ententes internationales, dont la plus importante est la Convention sur la diversité biologique. L'établissement du banc de Sainte-Anne en tant que ZPM serait une contribution à l'atteinte de cet objectif international. À l'heure actuelle, environ 1 % de la superficie des océans canadiens est protégé au moyen d'aires marines protégées fédérales et provinciales. La ZPM proposée du banc de Sainte-Anne permettrait d'augmenter de 0,08 % la zone de protection totale des océans du Canada.
Mise en œuvre, application et normes de service
Le règlement proposé entrerait en vigueur au moment de son enregistrement. À titre d'autorité fédérale principale chargée de la ZPM proposée, le MPO assumerait la responsabilité générale d'assurer le respect et l'application du règlement proposé. Ces activités seraient réalisées par l'entremise du mandat officiel et des responsabilités du Ministère en matière d'exécution qui lui incombent en vertu de la Loi sur les océans, de la Loi sur les pêches, de la Loi sur la protection des pêches côtières et d'autres lois ministérielles concernant la conservation des pêches, la protection de l'environnement, la protection de l'habitat et la sécurité maritime. Des agents d'application de la loi nommés par le ministre conformément à l'article 39 de la Loi sur les océans appliqueraient le règlement proposé dans ces zones. L'application du règlement proposé et les infractions subséquentes seraient traitées en vertu de l'article 37 de la Loi sur les océans.
La mise en œuvre d'une approche fondée sur le risque permettrait l'utilisation écologiquement durable des ressources dans la ZPM proposée, sans compromettre les objectifs généraux de la protection et la conservation de l'habitat, la biodiversité et la productivité biologique. Par exemple, certaines activités associées à des facteurs de risques mitigés, comme la pêche du crabe des neiges au casier et la pêche du flétan à la palangre, ne seraient autorisées que dans des sites précis et feraient l'objet d'une surveillance additionnelle.
Aucune modification n'est proposée concernant la pêche autochtone à des fins alimentaires, sociales et rituelles.
Des exceptions pour des engins de pêche ont été énoncées dans le règlement proposé. Cependant, seules les pêches actuelles, dont les impacts potentiels sur la ZPM ont été évalués et qui ont été jugées conformes aux objectifs de conservation de la ZPM, seraient autorisées à continuer dans certaines zones de gestion de la ZPM, sous réserve des exigences applicables de la Loi sur les pêches ou de la Loi sur la protection des pêches côtières. Les pêches autres que celles qui sont précisées dans le tableau ci-dessous, avec des engins autorisés dans le règlement proposé, seraient évaluées afin de déterminer leur impact potentiel sur les objectifs de conservation avant d'être autorisées dans la ZPM dans le cadre des mécanismes existants de la Loi sur les pêches ou de la Loi sur la protection des pêches côtières. Les pêches actuelles qui seraient autorisées dans la ZPM dès la désignation sont énumérées dans le tableau ci-dessous.
| Pêche | Zone 1 | Zone 2 | Zone 3 | Zone 4 |
|---|---|---|---|---|
| Homard au casier | √ | |||
| Crabe commun au casier | √ | |||
| Crabe des neiges au casier | √ | √ | √ | |
| Buccin au casier | √ | √ | ||
| Poisson de fond (visant le flétan) à la palangre de fond ou à la ligne à main | √ | √ | √ | |
| Hareng (pour la rave et pour servir d'appât) et maquereau, au filet maillant | √ | |||
| Pêche au phoque | √ | √ | √ | √ |
| Oursin en plongée | √ | |||
| Thon rouge à la canne et au moulinet | √ | √ | √ | |
| Alimentaire, sociale et rituelle | √ | √ | √ | √ |
Pour compléter l'orientation fournie par le règlement proposé, un plan de gestion de la ZPM serait élaboré après la désignation afin de mieux orienter le Règlement et de mettre en œuvre un ensemble exhaustif de stratégies et de mesures de conservation et de gestion pour la ZPM. Le plan de gestion définirait clairement l'objectif et les priorités de gestion de la ZPM et il aborderait des sujets comme le suivi écologique, l'application de la loi, la conformité et l'intendance. Il fournirait également les détails requis pour que la justification des décisions de gestion, des interdictions et des approbations soit claire et comprise.
Du matériel pour le Web serait aussi élaboré en vue de sensibiliser le public et d'échanger des renseignements sur la ZPM, y compris un sommaire des renseignements fournis dans le plan de gestion, et des lignes directrices et des pratiques exemplaires pour la réalisation d'activités sur le site. Les échéanciers et les exigences en matière d'information pour le processus de demande d'autorisation d'activité seraient présentés dans les documents d'orientation et dans le plan de gestion de la ZPM.
Les activités de conformité et d'application de la loi menées par des agents d'application de la loi du MPO comprendraient des patrouilles en bateau et en avion afin d'assurer la conformité avec les conditions des permis de pêche et des zones de fermeture. Les activités de pêche au sein de la ZPM du banc de Sainte-Anne pourraient également être surveillées au moyen d'autres mécanismes, y compris le Programme des observateurs en mer, les journaux de bord et le Système de surveillance des navires. À l'aide de ces sources de données, des rapports automatisés sur les activités de pêche dans la zone de protection marine seraient générés quotidiennement dans le cadre du programme de surveillance de la conformité existant pour les ZPM dans la région des Maritimes.
Toute infraction au règlement proposé serait passible d'une amende pouvant atteindre 100 000 $, pour une infraction punissable sur déclaration de culpabilité par procédure sommaire et jusqu'à 500 000 $ pour un acte criminel en vertu de l'article 37 de la Loi sur les océans. Le fait de contrevenir aux approbations d'activités et aux conditions pourrait aussi se traduire par des accusations en vertu d'autres lois canadiennes applicables, comme la Loi sur les pêches ou la Loi sur les espèces en péril.
Personnes-ressources
Région des Maritimes
Glen Herbert
Gestionnaire régional
Direction de la gestion des écosystèmes
Pêches et Océans Canada
Institut océanographique de Bedford
1, promenade Challenger, C.P. 1006
Dartmouth (Nouvelle-Écosse)
B2Y 4A2
Région de la capitale nationale
Christie Chute
Gestionnaire
Programme national de conservation maritime
Direction de la gestion des océans
Pêches et Océans Canada
200, rue Kent
Ottawa (Ontario)
K1A 0E6
PROJET DE RÉGLEMENTATION
Avis est donné que le gouverneur en conseil, en vertu du paragraphe 35(3) de la Loi sur les océans (voir référence a), se propose de prendre le Règlement sur la zone de protection marine du banc de Sainte-Anne, ci-après.
Les intéressés peuvent présenter leurs observations au sujet du projet de règlement dans les quarante-cinq jours suivant la date de publication du présent avis. Ils sont priés d'y citer la Partie I de la Gazette du Canada, ainsi que la date de publication, et d'envoyer le tout à Christie Chute, gestionnaire, Programme de conservation marine, Gestion intégrée des océans, ministère des Pêches et des Océans, 200, rue Kent, bureau 12W127, Ottawa (Ontario) K1A 0E6 (courriel : SABMPA-BSAZPM@dfo-mpo.gc.ca).
Ottawa, le 1er décembre 2016
Le greffier adjoint du Conseil privé
Jurica Čapkun
Règlement sur la zone de protection marine du banc de Sainte-Anne
Définition et interprétation
Définition de zone de protection marine
1 (1) Dans le présent règlement, zone de protection marine s'entend de l'espace maritime désigné par l'article 2.
Coordonnées géographiques
(2) Aux annexes 1 et 2, les coordonnées géographiques — latitude et longitude — sont exprimées selon le Système de référence nord-américain de 1983 (NAD83).
Désignation
Zone de protection marine
2 (1) Est désigné zone de protection marine du banc de Sainte-Anne l'espace maritime illustré à l'annexe 1 délimité par les loxodromies reliant les points 1 à 10, les coordonnées de chacun figurant à cette annexe, puis revenant au point 1.
Fond marin, sous-sol et eaux surjacentes
(2) La zone de protection marine comprend le fond marin, le sous-sol jusqu'à une profondeur de cinq mètres et les eaux surjacentes au fond marin.
Zones de gestion
Délimitations
3 La zone de protection marine se compose des zones de gestion suivantes :
- a) la zone 1, illustrée à l'annexe 2, délimitée par les loxodromies reliant le point 18 au point 2, puis au point 8 en passant par les points 3, 4, 5, 6 et 7, puis au point 17, au point 16, au point 15, au point 9, au point 13, au point 12, au point 11, au point 14, au point 19, les coordonnées de chacun figurant à cette annexe, puis revenant au point 18;
- b) la zone 2, illustrée à l'annexe 2, délimitée par les loxodromies reliant le point 1 au point 18, puis au point 19 et au point 10, les coordonnées de chacun figurant à cette annexe, puis revenant au point 1;
- c) la zone 3, illustrée à l'annexe 2, délimitée par les loxodromies reliant le point 14 au point 11, puis au point 12 et au point 13, les coordonnées de chacun figurant à cette annexe, puis revenant au point 14;
- d) la zone 4, illustrée à l'annexe 2, délimitée par les loxodromies reliant le point 8 au point 15, puis au point 16 et au point 17, les coordonnées de chacun figurant à cette annexe, puis revenant au point 8.
Activités interdites
Activités interdites
4 Sous réserve des articles 5 à 8, il est interdit, dans la zone de protection marine, d'exercer toute activité qui perturbe, endommage, détruit ou retire de la zone de protection marine tout organisme marin vivant ou toute partie de son habitat, ou qui est susceptible d'avoir un tel effet.
Exceptions
Pêche
5 Il est permis d'exercer les activités ci-après dans la zone de protection marine si elles sont pratiquées conformément aux dispositions de la Loi sur les pêches et la Loi sur la protection des pêches côtières ainsi qu'à leurs règlements :
- a) la pêche, autre que la pêche commerciale, autorisée par le Règlement sur les permis de pêche communautaires des Autochtones;
- b) la pêche du phoque et toute activité connexe autorisée par le Règlement sur les mammifères marins ou le Règlement sur les permis de pêche communautaires des Autochtones;
- c) dans la zone 2, la pêche commerciale et récréative à l'aide de nasses, de casiers, de cannes et moulinets, de harpons, de palangres de fond, de lignes à main ou de filets maillants ou en plongée;
- d) dans les zones 3 et 4, la pêche commerciale et récréative à l'aide de nasses, de casiers, de cannes et moulinets, de harpons, de palangres de fond ou de lignes à main.
Navigation
6 Il est permis de naviguer dans la zone de protection marine si la navigation est conforme aux dispositions de la Loi de 2001 sur la marine marchande du Canada et de ses règlements.
Sécurité ou urgence
7 Il est permis, dans la zone de protection marine, d'exercer toute activité visant à assurer la sécurité publique, la défense nationale, la sécurité nationale ou l'exécution de la loi ou à intervenir dans une situation d'urgence.
Plan d'activité
8 Il est permis d'exercer toute activité de recherche ou de suivi scientifiques ou toute activité éducative ou de tourisme maritime commercial dans la zone de protection marine si cette activité fait partie d'un plan d'activité approuvé par le ministre.
Plan d'activité
Présentation et contenu
9 Toute personne qui prévoit exercer une activité de recherche ou de suivi scientifiques ou une activité éducative ou de tourisme maritime commercial dans la zone de protection marine présente au ministre un plan d'activité comportant les renseignements et les documents suivants :
- a) ses nom, adresse, numéro de téléphone et adresse électronique ainsi que, s'il y a lieu, le nom de l'organisation à laquelle elle est affiliée en ce qui a trait à l'activité;
- b) le nom de chacun des bâtiments qu'elle prévoit utiliser dans le cadre de l'activité, leur État d'immatriculation, leur numéro d'immatriculation, leur indicatif d'appel radio et les nom, adresse, numéro de téléphone et adresse électronique de leur propriétaire, de leur capitaine et de tout exploitant;
- c) la description détaillée de l'activité et de son objectif;
- d) les coordonnées géographiques du lieu de l'activité ainsi qu'une carte indiquant ce lieu dans la zone de protection marine;
- e) les dates prévues ainsi que d'autres dates possibles pour la tenue de l'activité;
- f) les méthodes et techniques qui seront utilisées dans le cadre de l'activité;
- g) la liste de l'équipement utilisé, les moyens par lesquels il sera déployé et récupéré et les méthodes utilisées pour l'ancrer ou l'amarrer;
- h) la liste des échantillons – type et quantité – et les données qui seront recueillis;
- i) la liste de toutes les substances qui pourraient être rejetées dans la zone de protection marine pendant l'activité, autres que celles dont le rejet lors de la navigation est autorisé par la Loi de 2001 sur la marine marchande du Canada, ainsi que les quantité et concentration de chacune de ces substances;
- j) la description des effets environnementaux négatifs susceptibles de découler de l'activité et des mesures qui seront prises pour surveiller, éviter, réduire et atténuer ces effets;
- k) la description de toute activité de recherche ou de suivi scientifiques ou de toute activité éducative ou de tourisme maritime commercial que la personne a exercée ou prévoit exercer dans la zone de protection marine;
- l) la description générale des études, rapports ou autres ouvrages qui résulteraient de l'activité et la date prévue de leur achèvement.
Approbation du plan
10 (1) Le ministre approuve le plan d'activité si les conditions ci-après sont remplies :
- a) les activités de recherche ou de suivi scientifiques qui y sont proposées ne sont pas susceptibles d'entraîner la destruction de l'habitat de tout organisme marin vivant dans la zone de protection marine et permettront d'atteindre l'un ou l'autre des objectifs suivants :
- (i) accroître les connaissances sur la biodiversité ou la productivité biologique de la zone de protection marine ou l'habitat de tout organisme marin vivant dans celle-ci,
- (ii) contribuer à la gestion de la zone de protection marine;
- b) les activités éducatives ou de tourisme maritime commercial qui y sont proposées :
- (i) permettront d'accroître la sensibilisation du public à l'égard de la zone de protection marine,
- (ii) ne sont pas susceptibles d'endommager, de détruire ni de retirer de la zone de protection marine un organisme marin vivant ou toute partie de son habitat.
Refus du plan
(2) Toutefois, le ministre ne peut approuver le plan d'activité si :
- a) l'une ou l'autre des substances qui pourraient être rejetées pendant l'activité est une substance nocive au sens du paragraphe 34(1) de la Loi sur les pêches, et son rejet n'est pas permis au titre du paragraphe 36(4) de cette loi;
- b) les effets environnementaux cumulatifs de l'activité combinés à ceux des activités passées ou en cours dans la zone de protection marine, seraient tels que l'activité pourrait nuire à la biodiversité ou à la productivité biologique de la zone de protection marine ou entraîner la destruction de l'habitat de tout organisme marin vivant dans celle-ci.
Délai d'approbation
(3) Le ministre rend sa décision à l'égard du plan d'activité au plus tard :
- a) soixante jours après la date de sa réception;
- b) si des modifications sont apportées au plan, soixante jours après la date de réception du plan modifié.
Rapport d'activité
11 La personne dont le plan d'activité a été approuvé par le ministre fournit à ce dernier, dans les quatre-vingt-dix jours suivant le dernier jour de l'activité, un rapport contenant les renseignements et documents suivants :
- a) la liste des échantillons – type et quantité – et des données recueillis au cours de l'activité ainsi que les dates d'échantillonnage et les coordonnées géographiques des lieux où il a été effectué;
- b) l'évaluation de l'efficacité des mesures prises pour surveiller, éviter, réduire et atténuer les effets environnementaux négatifs de l'activité;
- c) la description de tous les incidents imprévus survenus lors de l'activité et de leurs répercussions potentielles sur l'écosystème de la zone de protection marine.
Entrée en vigueur
Enregistrement
12 Le présent règlement entre en vigueur à la date de son enregistrement.
ANNEXE 1
(paragraphes 1(2) et 2(1))
Zone de protection marine

ANNEXE 2
(paragraphe 1(2) et article 3)
Zones de gestion

[51-1-o]